
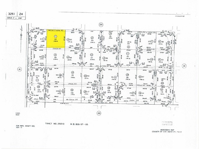
MAJOR PRICE REDUCTION!!! PRICE IS FIRM!!!2.53+/- Acre, on Ave. C-4, Zoned A22 (Heavy Agricultural) in West Lancaster. Just north of Avenue D (Hwy. 138) Excellent opportunity. This level parcel is located about 10 miles west of the 14 Freeway in an area mixed with ranch houses and farming ventures! The area is popular for land investors in the community of Antelope Acres. Enjoy country living at a great price. This lot is located just 3 miles to the West of many single-family houses and there are solar farms to the Northwest. You may google it with the following GPS coordinates to locate the property: 34.786244 -118.359650
The multiple listing data appearing on this website, or contained in reports produced therefrom, is owned and copyrighted by California Regional Multiple Listing Service, Inc. ("CRMLS") and is protected by all applicable copyright laws. Information provided is for viewer's personal, non-commercial use and may not be used for any purpose other than to identify prospective properties the viewer may be interested in purchasing. All listing data, including but not limited to square footage and lot size is believed to be accurate, but the listing Agent, listing Broker and CRMLS and its affiliates do not warrant or guarantee such accuracy. The viewer should independently verify the listed data prior to making any decisions based on such information by personal inspection and/or contacting a real estate professional.
Based on information from California Regional Multiple Listing Service, Inc. as of the most recent time synced and /or other sources. All data, including all measurements and calculations of area, is obtained from various sources and has not been, and will not be, verified by broker or MLS. All information should be independently reviewed and verified for accuracy. Properties may or may not be listed by the office/agent presenting the information
Last Updated: . Source: CRMLS
Provided By
Listing Agent: Richard Khatibi (#F210076281)
Listing Office: Rich Estate Props (#F3843001)
Provided By (Buyer)
Buyer's Agent: Sara Garton (#SR150561238)
